Close
首頁
房屋出售
房屋出租
社區大樓
土地查詢
委託買賣
公司簡介
精英團隊
人才招募
不動產知識
google查詢
大安區公寓法拍
首頁
房屋出售
房屋出租
社區大樓
土地查詢
委託買賣
公司簡介
精英團隊
人才招募
不動產知識
google查詢
首頁
›
房屋出售
›
台北公寓拍賣
›
大安區公寓拍賣
›
大安區公寓法拍
大安區公寓法拍|台北大安區法拍屋
售
金華.永康商圈*捷運*低樓層方正雅寓
列印
售2172萬
售1737萬6000元
類型:
法拍公寓
總登記坪數:
22.62坪
每坪單價:
76.82萬/坪
地址:
台北市大安區潮州街31號2樓
黃先生
(煩請告知聯絡人,您是在House-Info房屋網看到廣告,感恩幫忙)
0978-813-259
市話:
0978-813259
公司名稱:
金石房屋資產有限公司
公司地址:
台北市大同區
我要留言
物件介紹
詳細資料
銷售狀態
:
待標中
格局
:
3房,2廳,2衛,0陽台,1廚房
屋齡
:
50年以上
所在樓層
:
2樓/共4層
電梯
:
沒有
法拍屋
:
是
拍次
:
預估二拍(1737.6)
開標日期
:
115年1月28日
瀏覽人次
:
270人次
周邊環境
捷運站
:
古亭
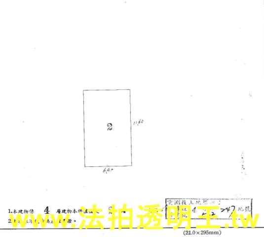
坪數說明
建物登記總坪數
:
22.62
主建物
:
22.62
土地登記總坪數
:
8.02
特色描述
(1/07)
一拍價2172萬/@96萬~流標!
(1/28)二拍價1737.6萬/@76.82萬
本物件坐落於潮州街31號2樓
鄰近杭州南路二段與金華街巷口...
前後採光.與後棟棟距約3米
近古亭捷運站、勤通便利、增值最佳!!!
師大夜市、永康商圈、增加生活機能性
步行6-8分鐘即達捷運古亭站
有多線公車站.交通四通八達!!!
大安區法拍公寓-0
大安區法拍公寓-1
大安區法拍公寓-2
大安區法拍公寓-3
大安區法拍公寓-4
大安區法拍公寓-5
大安區法拍公寓-6
物件地圖
到Google查看地圖
到Google查看街景
物件留言
請注意,如果您詢問的內容與物件不相符合或是廣告,經過審核,系統將會直接刪除您的發問內容
住宅分類
士林公寓拍賣
大同區公寓拍賣
大安區公寓拍賣
中山區公寓拍賣
中正區公寓拍賣
內湖公寓拍賣
文山區公寓拍賣
北投公寓拍賣
松山公寓拍賣
信義區公寓拍賣
南港公寓拍賣
萬華公寓拍賣
免責聲明:House-Info房屋網平台系統為租用式開放房屋買賣網站建置平台,僅提供會員查詢-
台北市
,
大安區
,
公寓
-等房屋資訊參考,並不涉入任何諮詢、交易。 物件(服務)聯絡人公佈的資訊、文字、照片、圖形、產權、廣告內容、或其他資料若有不實或違法情事,或與客戶聯絡交易過程中若衍生民事或刑事等法律問題,皆與House-Info房屋網站無關,所有商標、文章、名稱等版權,皆歸屬原著作者所有!
台北法拍屋
|
台北市法拍屋
|
台北法拍屋公告
|
買台北法拍屋
|
台北市法拍屋
|
台北法拍屋買賣
|
台北法拍屋
|
台北法拍屋拍賣
資料處理中,請稍後...